Sign up to get new listings emailed daily! JOIN SIGN IN
Marie Dilorenzo
Associate Broker
REALTOR®, CCIM

0 Valley Pike, Unit K-1, K3, K4, Stephens City, VA 22655

$111,536/Acre
  • 0 Valley Pike, Unit K-1, K3, K4, Stephens City, VA 22655 Main Photo

3 Total Photos [Click to View All]

Active
MLS#vafv2019824
STATUS PROPERTY TYPELand - Commercial

Property Description

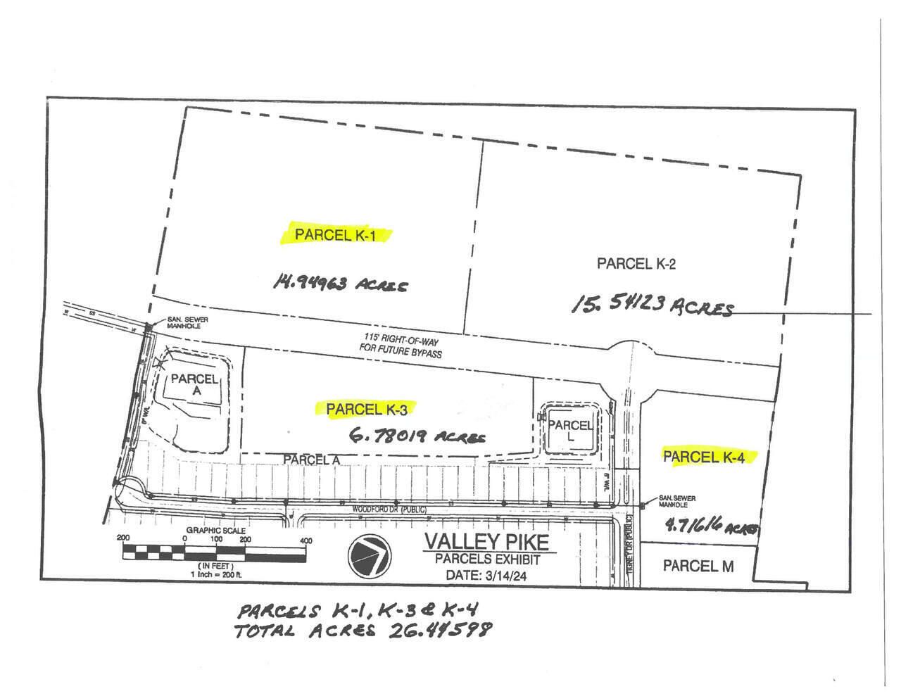
Located within a new residential development and requires Stephens City town approval. 14.94963 AC of industrial land in the heart of Stephens City.  Located within a new residential development Parcel K-1 is zoned NDD ( see attachment in documents) and requires Stephens City town approval. 6.78019 AC of commercial land in the heart of Stephens City.  Located within a new residential development Parcel K-3 is zoned NDD (see attachment in documents) and requires Stephens City town approval. 4.71516 AC of commercial land in the heart of Stephens City.  Located within a new residential development, Parcel K-4 is zoned NDD ( see attachment in documents) and requires Stephens City town approval

Property Features

Listed By / Shown By

Listed By

Agency Name: OakCrest Commercial Real Estate

agent picture

Shown By

Agent Name: Marie Dilorenzo Associate Broker
Agent Phone: (540) 533-7064

Estimate Your Payment

Estimated Payment

$ 500.68 per month $468.15 Principal & Interest $0.00 Property Tax (data not provided by mls) $32.53 Homeowner's Insurance

Change Payment Information

%
years/fixed
yearly
yearly (est.)
(Payments are an estimate and may vary by lender)
Disclaimer: All information deemed reliable but not guaranteed. All properties are subject to prior sale, change or withdrawal. Neither listing broker(s) or information provider(s) shall be responsible for any typographical errors, misinformation, misprints and shall be held totally harmless. Listing(s) information is provided for consumers personal, non-commercial use and may not be used for any purpose other than to identify prospective properties consumers may be interested in purchasing. Information on this site was last updated 04/08/2026. The listing information on this page last changed on 04/08/2026. The data relating to real estate for sale on this website comes in part from the Internet Data Exchange program of Delta Media Group MLS (last updated Wed 04/08/2026 9:11:02 AM EST). Real estate listings held by brokerage firms other than OakCrest Commercial Real Estate may be marked with the Internet Data Exchange logo and detailed information about those properties will include the name of the listing broker(s) when required by the MLS. All rights reserved.
Privacy Policy / DMCA Notice / ADA Accessibility

Login to My PropertyFinder

Pixel